VIDEO. Un nou fenomen ciclonic extrem de puternic, după uraganul Irma

VIDEO. Un nou fenomen ciclonic extrem de puternic, după uraganul Irma
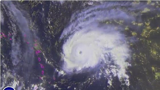
Uraganul Jose, care s-a format în Atlantic la 700 km est de Antilele Mici, a crescut în intensitate până la categoria 4, fiind însoțit de rafale de vânt cu viteze de 240 km/h, a anunțat vineri Centrul american al uraganelor (NHC), preluat de AFP și Reuters.
Uraganul, care este cu o singură treaptă sub categoria maximă pe scara Saffir-Simpson care măsoară intensitatea uraganelor, avansează cu 30 km/h în direcția vest-nord-vest, precizează NHC, citat de Agerpres.
Jose vine pe urmele uraganului Irma, un fenomen ciclonic extrem de puternic, în prezent retrogradat la categoria 4, care a devastat deja mai multe insule din zona Caraibelor și amenință zilele acestea Cuba, Bahamas și o mare parte a statului american Florida.
Major Hurricane #Jose is bearing down on the N. Leeward islands, just days after being devastated by #Irma. Very disturbing- sending Prayers pic.twitter.com/1ZeIOS39Cy
Citește și:
- 22:30 - Crin Antonescu, în exclusivitate la Realitatea PLUS: ”Bolojan trebuia să depună mandatul de premier”
- 22:20 - PSD și AUR au strâns semnăturile necesare pentru moțiunea de cenzură împotriva Guvernului Bolojan
- 21:57 - AUR în viitorul Guvern? Dan Dungaciu rupe tăcerea despre asumarea portofoliilor ministeriale: „Vom vedea cum trecem podul”
- 21:54 - Andrei Caramitru: ”Căderea guvernului va duce euro la 7 lei. Investitorii se vor retrage dacă pică Bolojan”
Mai multe articole despre
Urmărește știrile Realitatea.NET și pe Google News














