„Furtuna secolului” a lovit Jamaica - 1,5 milioane de oameni în pericol. Cuba, următoarea victimă a Uraganului Melissa - VIDEO

„Furtuna secolului” a lovit Jamaica - 1,5 milioane de oameni în pericol - VIDEO
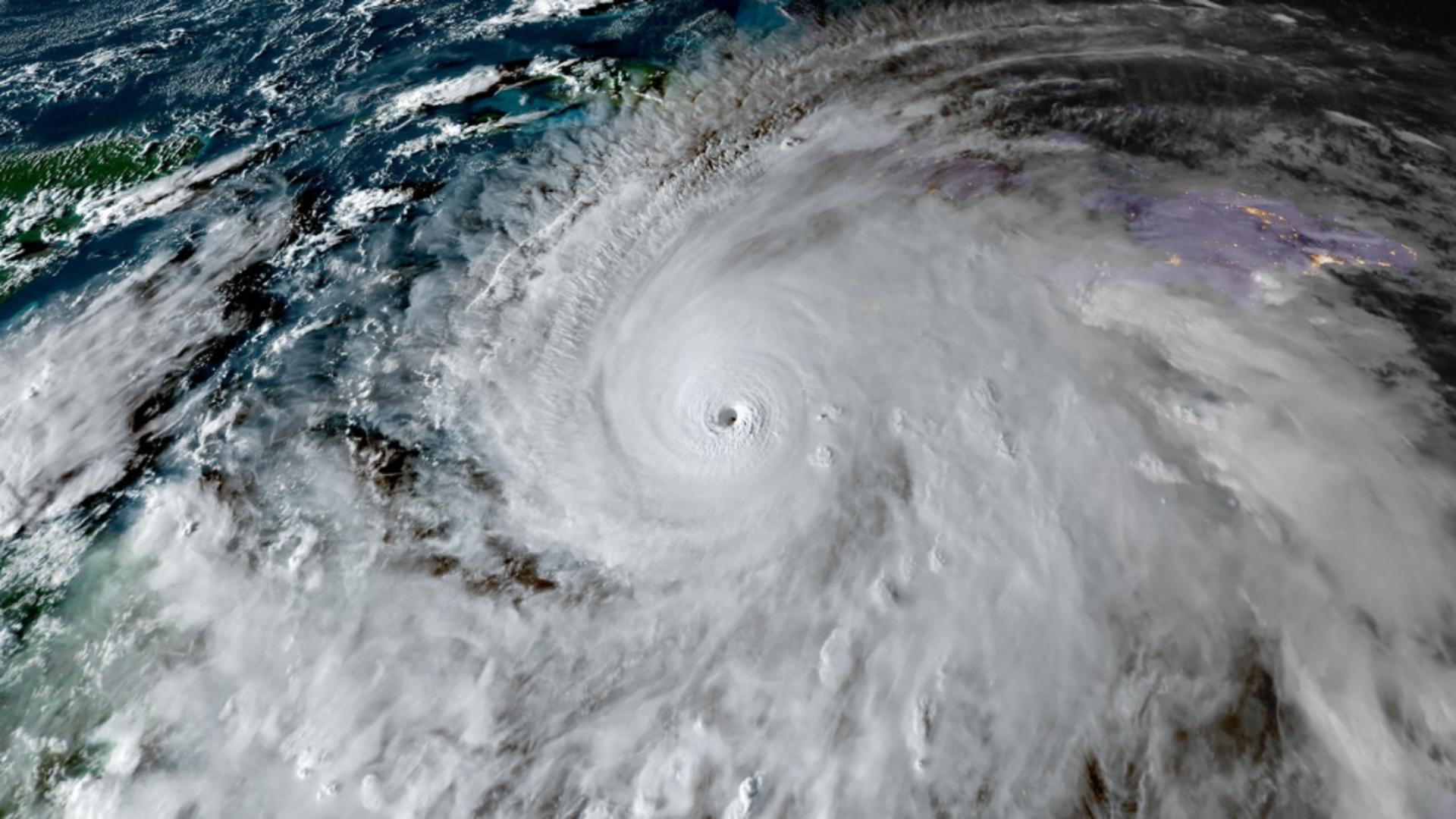
Uraganul Melissa a lovit Jamaica cu o forță devastatoare, provocând cele mai grave pagube înregistrate vreodată de această insulă din Caraibe, înainte de a se îndrepta amenințător spre Cuba și Bahamas. Cu vânturi de până la 295 km/h la momentul impactului, Melissa a fost clasificată drept cea mai intensă furtună din istoria recentă a Jamaicăi, depășind recordurile de intensitate anterioare și fiind considerată „furtuna secolului” de specialiștii Organizației Meteorologice Mondiale.
Furtuna a lovit uscatul în apropierea orașului New Hope, parohia St. Elizabeth fiind complet inundată. Peste 500.000 de locuitori au rămas fără energie electrică, iar spitalele, locuințele și proprietățile comerciale au suferit pagube majore. Premierul Andrew Holness a declarat că guvernul se așteaptă la victime, având în vedere amploarea distrugerilor, iar echipele de salvare încearcă să ajungă la familiile blocate în case și să ofere sprijin celor peste 15.000 de persoane adăpostite temporar.
Autoritățile au emis ordine de evacuare pentru 28.000 de persoane, iar 1,5 milioane de jamaicani sunt afectați direct de uragan, potrivit Federației Internaționale a Crucii Roșii. Guvernul jamaican a solicitat ajutor internațional și a alocat un buget de urgență de 33 milioane de dolari, anticipând pagube mai mari decât cele provocate de uraganul Beryl din 2024.
🚨 BREAKING: HOSPITALS DESTROYED IN JAMAICA 🚨
Medical facilities in Black River, Jamaica have reportedly been destroyed, according to a Jamaican Senator speaking to NBC.
Amid Hurricane Melissa’s catastrophic landfall, emergency services are overwhelmed, and access to care is… pic.twitter.com/FwJsmfMvqr
După ce forța vântului a scăzut la 233 km/h, uraganul a traversat zonele muntoase ale Jamaicăi și se îndreaptă spre Santiago de Cuba, al doilea oraș ca mărime al țării. Președintele cubanez Miguel Diaz-Canel a avertizat populația să respecte ordinele de evacuare, iar circa 500.000 de cubanezi s-au mutat în zone mai sigure. Bahamas și insula Hispaniola, împărțită între Haiti și Republica Dominicană, rămân sub alertă, după ce ploi torențiale au provocat deja decese în Haiti.
Meteorologii subliniază că uraganul Melissa s-a intensificat rapid, alimentat de temperaturile record ale apelor din Caraibe, iar liderii din regiune cer sprijin financiar și reducerea datoriilor pentru a face față efectelor catastrofale ale crizei climatice.
Citește și:
- 21:08 - George Simion, acuzații dure privind programul SAFE: "Paguba, mai mare ca Pfizer"
- 20:55 - Descoperire șocantă în județul Iași: zeci de proiectile găsite la Holboca. Avertsimentul pompierilor
- 19:54 - SUA, posibil nou conflict la orizont? Trump vizează Cuba după Iran
- 19:09 - Alertă de urs la Pucioasa! Populația, avertizează prin RO-ALERT
Mai multe articole despre
Urmărește știrile Realitatea.NET și pe Google News














